Рябина промежуточная
Рябина промежуточная — это красивое дерево, которое можно встретить в лесах и парках. Оно похоже на обычную рябину, но более стройное и изящное. У него густая крона, а листья — как зелёные ладошки, которые складываются в пышные веера.
Рябина промежуточная может достигать в высоту до 15 метров. Ствол у неё прямой, кора — серая, как зимнее небо. Ветви тянутся вверх, создавая ажурную тень.
Цветёт рябина промежуточная весной, когда всё вокруг просыпается после зимнего сна. Её цветы — как маленькие звёздочки, которые рассыпаны по ветвям. Они собраны в соцветия, похожие на кисти.
Растёт рябина промежуточная в умеренном климате. Её можно встретить в Европе, Азии и Северной Америке. Она любит светлые места, но может расти и в полутени. Почва для неё должна быть плодородной и хорошо дренированной.
Чтобы вырастить рябину промежуточную, нужно посадить её в подходящем месте и обеспечить ей правильный уход. Дерево любит влагу, но не переносит застоя воды. Поэтому важно следить за тем, чтобы почва была влажной, но не мокрой.
Размножается рябина промежуточная семенами и черенками. Семена можно посеять в землю, а черенки — укоренить в воде или во влажном субстрате.
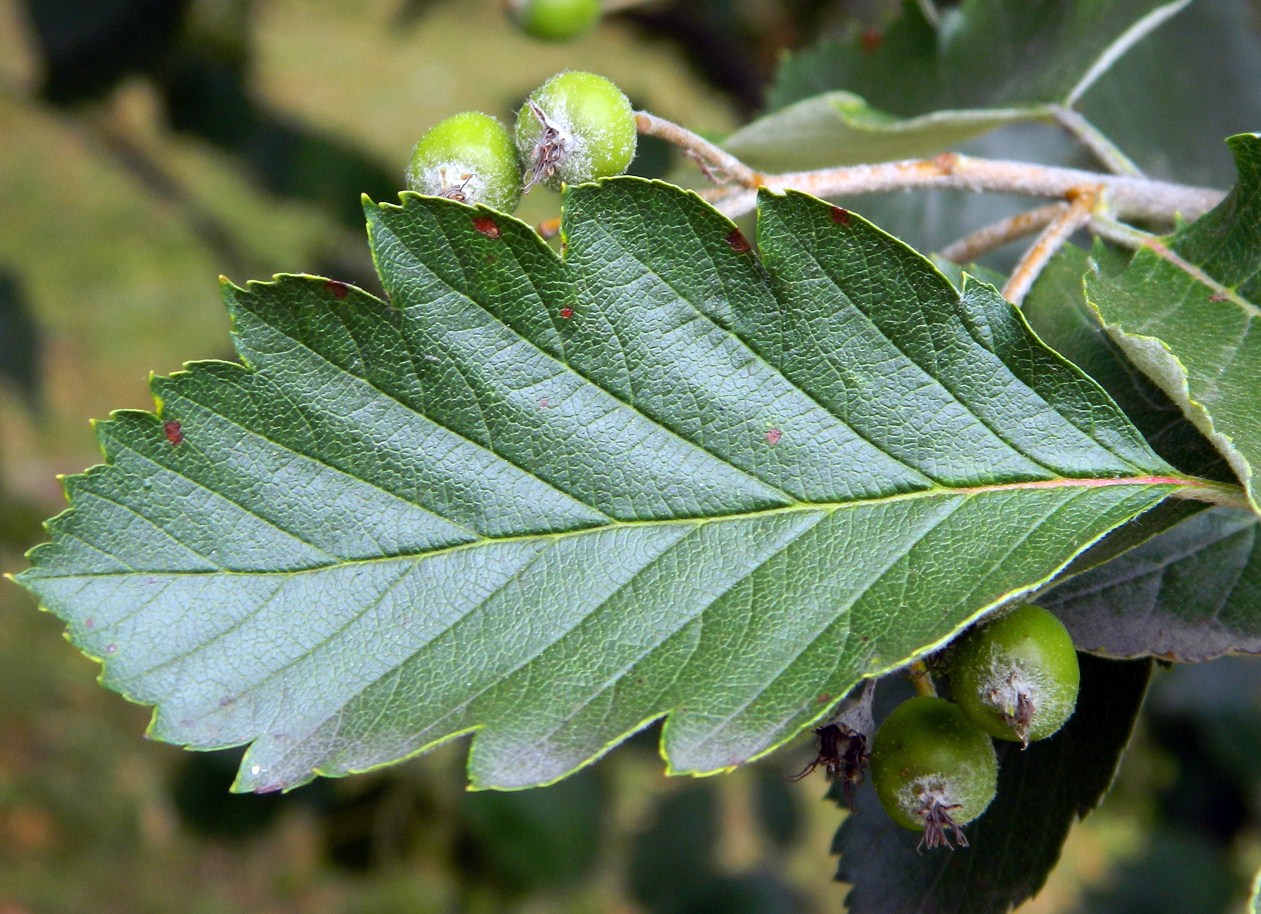
Плоды рябины промежуточной — это ягоды, которые созревают осенью. Они могут быть красными, оранжевыми или жёлтыми. Ягоды съедобные, но имеют горьковатый вкус. Их можно использовать для приготовления варенья, компотов и других заготовок.
Кроме того, рябина промежуточная имеет и другое применение. Из её древесины делают мебель и поделки. А листья и кору используют в народной медицине.
Интересный факт: рябина промежуточная — это не только красивое дерево, но и полезное растение. Оно привлекает птиц, которые питаются его ягодами. А ещё рябина помогает очищать воздух и создавать уютную атмосферу в парках и садах.
Ещё один факт: в некоторых странах рябина промежуточная считается символом здоровья и долголетия. Её высаживают в парках и скверах, чтобы создать приятную атмосферу и привлечь внимание к природе.
Рябина промежуточная может достигать в высоту до 15 метров. Ствол у неё прямой, кора — серая, как зимнее небо. Ветви тянутся вверх, создавая ажурную тень.
Цветёт рябина промежуточная весной, когда всё вокруг просыпается после зимнего сна. Её цветы — как маленькие звёздочки, которые рассыпаны по ветвям. Они собраны в соцветия, похожие на кисти.
Растёт рябина промежуточная в умеренном климате. Её можно встретить в Европе, Азии и Северной Америке. Она любит светлые места, но может расти и в полутени. Почва для неё должна быть плодородной и хорошо дренированной.
Чтобы вырастить рябину промежуточную, нужно посадить её в подходящем месте и обеспечить ей правильный уход. Дерево любит влагу, но не переносит застоя воды. Поэтому важно следить за тем, чтобы почва была влажной, но не мокрой.
Размножается рябина промежуточная семенами и черенками. Семена можно посеять в землю, а черенки — укоренить в воде или во влажном субстрате.
Плоды рябины промежуточной — это ягоды, которые созревают осенью. Они могут быть красными, оранжевыми или жёлтыми. Ягоды съедобные, но имеют горьковатый вкус. Их можно использовать для приготовления варенья, компотов и других заготовок.
Кроме того, рябина промежуточная имеет и другое применение. Из её древесины делают мебель и поделки. А листья и кору используют в народной медицине.
Интересный факт: рябина промежуточная — это не только красивое дерево, но и полезное растение. Оно привлекает птиц, которые питаются его ягодами. А ещё рябина помогает очищать воздух и создавать уютную атмосферу в парках и садах.
Ещё один факт: в некоторых странах рябина промежуточная считается символом здоровья и долголетия. Её высаживают в парках и скверах, чтобы создать приятную атмосферу и привлечь внимание к природе.


























Администрация сайта не проверяет и не может проверить все изображения, загружаемые пользователями, на наличие правовых нарушений, включая нарушение авторских прав.
Загружая изображение, пользователь гарантирует, что обладает всеми необходимыми правами на его использование и публикацию, либо что такое использование разрешено законом (например, в рамках добросовестного использования), и что это не нарушает права третьих лиц.
В случае поступления претензии от правообладателя о нарушении авторских прав, соответствующее изображение будет незамедлительно удалено с сайта после получения уведомления в установленном законом порядке.
По всем вопросам, связанным с авторскими правами на пользовательский контент, просим обращаться по адресу mail@gagent.ru.