Ива пепельная
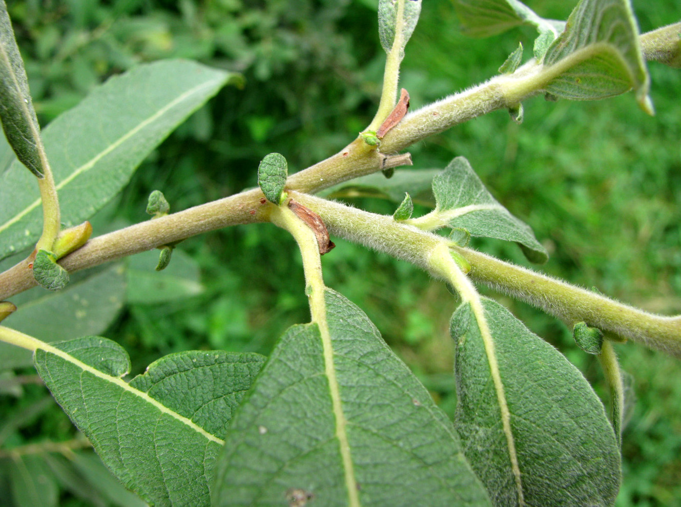
Ива пепельная — это небольшое деревце или кустарник, который может достигать в высоту до 5 метров. У него тонкие, гибкие ветви, которые могут быть слегка опушёнными. Листья у ивы пепельной узкие и длинные, похожи на иглы. Они могут быть светло-зелёными или серо-зелёными, как будто покрыты пеплом, отсюда и название.
Это растение можно встретить в разных уголках мира. Оно любит влажные места, поэтому часто растёт у водоёмов, на болотах или в низинах. Ива пепельная может расти и в городских условиях, например, в парках или вдоль дорог.
Ива пепельная неприхотлива и может расти в разных условиях. Она любит свет, но может расти и в полутени. Почва для неё не так важна, главное, чтобы она была не слишком сухой. Ива пепельная хорошо переносит морозы, поэтому её можно выращивать в регионах с холодным климатом.
Чтобы вырастить иву пепельную, можно использовать семена или черенки. Семена нужно высевать в рыхлую почву и поддерживать влажность. Черенки можно укоренять в воде или сразу в грунте.
Плоды ивы пепельной — это небольшие коробочки с семенами. Они могут разноситься ветром на большие расстояния, что помогает растению распространяться.
Ива пепельная используется человеком в разных целях. Из неё можно делать красивые живые изгороди, которые будут радовать глаз своей зеленью. Также ива пепельная может использоваться для укрепления берегов водоёмов, так как её корни очень крепкие и могут удерживать почву.
Интересный факт: ива пепельная — это одно из самых быстрорастущих растений. За год она может вырасти на несколько метров. Это делает её популярной для использования в ландшафтном дизайне.
Ещё один неочевидный факт: ива пепельная содержит полезные вещества, которые могут использоваться в медицине. Например, из неё можно делать настои и отвары, которые помогают при различных заболеваниях. Однако перед использованием таких средств лучше проконсультироваться с врачом.
Это растение можно встретить в разных уголках мира. Оно любит влажные места, поэтому часто растёт у водоёмов, на болотах или в низинах. Ива пепельная может расти и в городских условиях, например, в парках или вдоль дорог.
Ива пепельная неприхотлива и может расти в разных условиях. Она любит свет, но может расти и в полутени. Почва для неё не так важна, главное, чтобы она была не слишком сухой. Ива пепельная хорошо переносит морозы, поэтому её можно выращивать в регионах с холодным климатом.
Чтобы вырастить иву пепельную, можно использовать семена или черенки. Семена нужно высевать в рыхлую почву и поддерживать влажность. Черенки можно укоренять в воде или сразу в грунте.
Плоды ивы пепельной — это небольшие коробочки с семенами. Они могут разноситься ветром на большие расстояния, что помогает растению распространяться.
Ива пепельная используется человеком в разных целях. Из неё можно делать красивые живые изгороди, которые будут радовать глаз своей зеленью. Также ива пепельная может использоваться для укрепления берегов водоёмов, так как её корни очень крепкие и могут удерживать почву.
Интересный факт: ива пепельная — это одно из самых быстрорастущих растений. За год она может вырасти на несколько метров. Это делает её популярной для использования в ландшафтном дизайне.
Ещё один неочевидный факт: ива пепельная содержит полезные вещества, которые могут использоваться в медицине. Например, из неё можно делать настои и отвары, которые помогают при различных заболеваниях. Однако перед использованием таких средств лучше проконсультироваться с врачом.






















Администрация сайта не проверяет и не может проверить все изображения, загружаемые пользователями, на наличие правовых нарушений, включая нарушение авторских прав.
Загружая изображение, пользователь гарантирует, что обладает всеми необходимыми правами на его использование и публикацию, либо что такое использование разрешено законом (например, в рамках добросовестного использования), и что это не нарушает права третьих лиц.
В случае поступления претензии от правообладателя о нарушении авторских прав, соответствующее изображение будет незамедлительно удалено с сайта после получения уведомления в установленном законом порядке.
По всем вопросам, связанным с авторскими правами на пользовательский контент, просим обращаться по адресу mail@gagent.ru.